bão Mocha

Bão Mocha khiến 29 người tại Myanmar thiệt mạng

Bão Mocha khiến 29 người tại Myanmar thiệt mạng

VTV.vn - Ít nhất 29 người thiệt mạng sau khi bão Mocha đổ bộ vào vịnh Bengal, miền Tây Myanmar hôm qua.
Ít nhất 3 người thiệt mạng do bão Mocha

Ít nhất 3 người thiệt mạng do bão Mocha

VTV.vn - Chiều qua, bão Mocha đã đổ bộ vào bờ biển Bangladesh và Myanmar. Với sức gió lên tới 259 km/h, đây là cơn bão mạnh nhất đổ bộ vào khu vực này trong gần 17 năm qua.
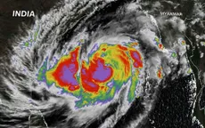
Bão Mocha có sức gió 259 km/h, tương đương bão cấp 5

Bão Mocha có sức gió 259 km/h, tương đương bão cấp 5

VTV.vn - Bão Mocha đổ vào đất liền trong khu vực giữa Cox's Bazar của Bangladesh và Sittwe, miền Tây Myanmar. Nhà chức trách đã tiến hành sơ tán khoảng 400 nghìn người.
Tránh bão Mocha, Myanmar và Bangladesh khẩn trương sơ tán người dân

Tránh bão Mocha, Myanmar và Bangladesh khẩn trương sơ tán người dân

VTV.vn - Giới chức Myanmar và Bangladesh đang khẩn trương sơ tán người dân tại các vùng duyên hải đến nơi trú ẩn an toàn, đồng thời sẵn sàng ứng phó với bão Mocha.
Bão Mocha đổ bộ Myanmar, 2 triệu người có thể bị ảnh hưởng

Bão Mocha đổ bộ Myanmar, 2 triệu người có thể bị ảnh hưởng

VTV.vn - Các tổ chức khí tượng Myanmar và quốc tế đồng loạt cảnh báo, bão Mocha có thể gây thiệt hại cho hơn 2 triệu người khi đổ bộ quốc gia này vào hôm nay.