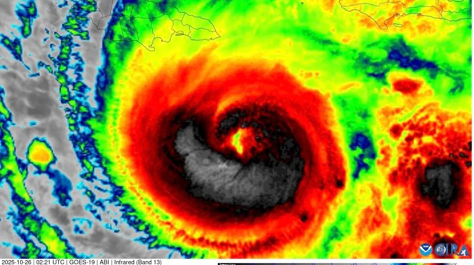
Trung tâm Bão Quốc gia Mỹ cho biết, bão Melissa đã mạnh lên thành bão cuồng phong cấp 4 và dự báo tiếp tục mạnh lên trong những giờ tới, trở thành bão cuồng phong cấp 5 với sức gió lên tới 257 km/h. Người dân Jamaica, một trong những khu vực dự báo chịu ảnh hưởng nặng nhất, đang tranh thủ thực hiện các biện pháp bảo vệ nhà cửa, tài sản và tích trữ lương thực trong những ngày tới.
Bão Melissa hiện cách Guantanamo, Cuba khoảng 280 km, với sức gió duy trì tối đa 220 km/h. Các nhà dự báo tại Trung tâm Bão Quốc gia Mỹ lưu ý, bão Melissa dự kiến tấn công vùng Caribe với mưa lớn, lũ quét nguy hiểm đến tính mạng và gió mạnh hủy diệt. Cơn bão mạnh lên nhanh là do nhiệt độ nước biển ấm và điều kiện khí quyển thuận lợi.
Các chuyên gia thời tiết khuyến cáo gần 3 triệu người dân Jamaica nên chuẩn bị cho nhiều ngày mưa lớn và gió mạnh, với khả năng có lũ quét và sạt lở đất nguy hiểm đến tính mạng.
Anh Romane Whyne ở vịnh Montego, Jamaica cho biết, trong hôm nay, gia đình anh phải gia cố nhà cửa, dùng ván ép để rào chắn các khu vực và bao cát để đảm bảo rằng khi bão đổ bộ, họ không gặp vấn đề gì.

Anh Avrie Woolery ở vùng St James cho biết, anh đã mua sắm xong và đang tìm mua máy phát điện vì năm ngoái sau khi bão đến, nhà anh không có điện. Anh nói nếu lần này mất điện thì cũng có sẵn để dùng.
Nhiều du khách đã cắt ngắn kỳ nghỉ và đặt vé chuyến bay sớm nhất rời đi trước khi bão đến.
Bà Kimberly Farrell, du khách Canada, cho biết họ rời đi sớm hơn 2 ngày và may mắn khi hãng WestJet sắp xếp được chuyến bay cứu hộ.
Chị Gypsy Hamilton, du khách Mỹ, nói rằng họ đã ở Jamaica 4 ngày và quyết định chờ đợi, hy vọng thời tiết sẽ thay đổi. Hãng hàng không đã đổi chuyến bay của họ 4 lần và giờ họ chỉ mong sẽ không bị đổi thêm nữa.

Bão Melissa đang là cuồng phong cấp 4 (Ảnh: NOAA)
Trung tâm Bão Quốc gia Mỹ cho biết, bão Melissa dự kiến sẽ đổ bộ vào Jamaica vào đêm 27/10 - sáng 28/10 và đổ bộ vào Đông Nam Cuba vào cuối ngày 28/10 (theo giờ địa phương). Bão được dự báo sẽ gây lũ lụt, lở đất và triều cường nghiêm trọng.
Jamaica không chỉ đón mưa xối xả mà còn đối mặt với gió mạnh, cây cối gãy đổ, mất điện và hư hại cơ sở hạ tầng trên diện rộng. Melissa có thể là cơn bão mạnh nhất ảnh hưởng đến Jamaica trong hơn 35 năm qua.
Bình luận (0)