Nhật Bản hứng chịu siêu bão đầu tiên năm 2014

Một trận bão lớn đang đổ bộ vào quần đảo Okinawa của Nhật Bản, gây sóng lớn và mang theo mưa xối xả.

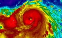
BBC dẫn thông báo từ Cơ quan Khí tượng Nhật Bản cho biết, siêu bão Neoguri có sức gió khoảng 250km/h và mỗi lúc một mạnh thêm khi di chuyển theo hướng Bắc.

Các nhà chức trách cho biết, cơn cuồng phong này được dự đoán biến thành trận bão "cực kỳ lớn" trong hôm nay (8/7). Tuy vậy, sức mạnh của nó vẫn không bằng với bão Haiyan vốn đã cướp mạng sống của hàng nghìn người ở Philippines năm ngoái.

Một phát ngôn viên của Cơ quan Khí tượng Nhật Bản cảnh báo, Neoguri có thể gây ra những con sóng khổng lồ. "Xin hãy thận trọng, ở yên trong các tòa nhà, tránh làm việc ngoài trời và hủy những chuyến đi không cần thiết".

Các nhà chức trách Nhật Bản đã ban hành cảnh báo cấp cao nhất về bão Neoguri. Các bản tin trên Truyền hình địa phương cho thấy, ngư dân đã đưa thuyền của họ vào bờ.

Okinawa nằm ở phía cực nam của Nhật Bản, là nơi có nhiều căn cứ quân sự Mỹ và khoảng 26.000 binh sĩ Mỹ đóng quân theo một Hiệp ước liên minh an ninh đã có từ lâu.

Tin liên quan

Bạn cần đăng nhập để thực hiện chức năng này!

Bình luận không đăng nhập

Bạn không thể gửi bình luận liên tục.
Xin hãy đợi 60 giây nữa.